Stop Guessing: All Battlefield 6 Redsec PC system requirements explained for the battle royale mode's launch

Dans un rapport publié le 23 octobre 2025, la société de services réseaux Infoblox met en lumière la face cachée du navigateur Universe Browser. L'outil, téléchargé des millions de fois, promettait à ses utilisateurs un respect de leur vie privée et la possibilité de contourner la censure dans les pays où les jeux d'argent en ligne sont interdits.

Octobre 2025 a été un mois animé sur le terrain nucléaire. La France vient à ce propos d'annoncer la mise en service opérationnel d'un nouveau missile nucléaire pour ses sous-marins. Et la nouvelle génération de ce missile est dès à présent en chantier.

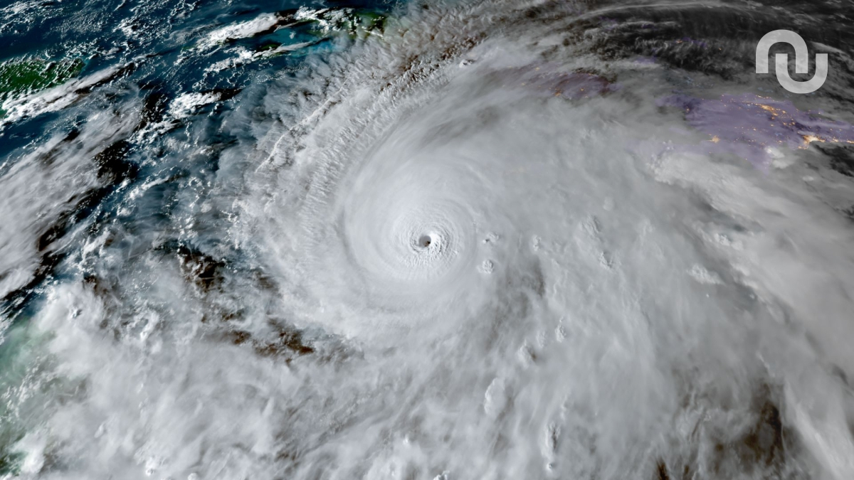
L'ouragan Mélissa qui menace la Jamaïque est scruté depuis l'espace par des satellites. Leurs images de ce phénomène météorologique en révèlent toute la puissance.

PayPal va permettre aux utilisateurs de payer leurs achats directement dans ChatGPT grâce à un nouveau partenariat technologique avec OpenAI, effectif dès 2026.

Prêts à trembler sous votre plaid ? Voici notre sélection des 10 meilleures séries d'horreur disponibles en streaming sur Netflix, pour passer votre soirée d'Halloween à frissonner, aux côtés de fantômes, monstres et autres zombies.

Dans un rapport publié le 23 octobre 2025, la société de services réseaux Infoblox met en lumière la face cachée du navigateur Universe Browser. L'outil, téléchargé des millions de fois, promettait à ses utilisateurs un respect de leur vie privée et la possibilité de contourner la censure dans les pays où les jeux d'argent en ligne sont interdits.
Au programme :
Samsung et Google ont annoncé le Samsung Galaxy XR, le concurrent du Vision Pro d’Apple
OpenAI a lancé ChatGPT Atlas : est-ce qu’intégrer ChatGPT dans le navigateur suffira à concurrencer Chrome ?
Le reste de l’actualité avec news et rumeurs : Grokipedia, l’effervescence (selon Guillaume) sur les sujets liés à Apple, Free TV, licenciements chez Amazon…
Infos :
Animé par Guillaume Vendé (Bluesky).
Co-animé par Patrick Beja (Bluesky, Instagram, Twitter, TikTok).
Produit par Patrick Beja (LinkedIn) et Fanny Cohen Moreau (LinkedIn).
Musique libre de droit par Daniel Beja
Le Rendez-vous Tech épisode épisode 638 – ChatGPT Atlas, Samsung Galaxy XR : nouvelles interfaces (mais c’est pas encore ça)
---
Liens :
🎧 L’Actu Tech (podcast daily): NotPatrick.com/#lactutech
😎 Soutien sur Patreon : Patreon.com/RDVTech
🤗 Communauté Discord : NotPatrick.com/discord
Par écrit :
📰 Newsletter : NotPatrick.com/newsletter
📰 Archives NL: NotPatrick.com/archivenl
📢 WhatsApp : NotPatrick.com/whatsapp
🐤 Veille Twitter : Twitter.com/RdvTech
En vidéo :
📹 Live : Twitch.tv/NotPatrick
📺 VOD : YouTube.com/NotPatrickPodcasts
📱 TikTok : Tiktok.com/@NotNotPatrick
💁 Tous les liens : NotPatrick.com
Hébergé par Acast. Visitez acast.com/privacy pour plus d'informations.
Windows 11 25H2 s'accompagne de nouveautés, mais toutes ne sont pas activées. Découvrez comment les débloquer instantanément.
Cet article Windows 11 25H2 et 24H2, comment activer toutes les nouveautés dès maintenant ? a été publié en premier par GinjFo.
Microsoft prolonge le support de Windows 10 jusqu’en octobre 2026. Découvrez comment vous inscrire gratuitement au programme ESU.
Cet article Windows 10 : comment obtenir gratuitement les mises à jour de sécurité jusqu’en 2026 ? a été publié en premier par GinjFo.
Découvrez la Dark Power 14 1200 Watts, une alimentation haut de gamme alliant design sobre et technologie avancée.
Cet article Dark Power 14 : la nouvelle référence du haut de gamme ATX 3.1 et PCIe 5.1 ? a été publié en premier par GinjFo.
Be quiet ! continue de faire évoluer ses alimentations Dark Power. La Dark Power 13 lancée en janvier 2013 cède sa place à la Dark Power 14. Si la robe est connue, la mécanique s’améliore afin de proposer les dernières normes tout en répondant aux nouveaux besoins en gaming. La gamme se compose de trois puissances …
Cet article Test Dark Power 14 1200 Watts de be quiet! a été publié en premier par GinjFo.